売り土地
伊予市 下吾川
郡中小、港南中エリア♪ 全10区画残り5棟! 駅や買い物施設が徒歩10分圏内で生活に便利な立地です◎ 56号線近くで松山市内へのアクセスも良好!
学校/郡中 小学校・港南 中学校
見所ポイント
郡中小、港南中エリア♪ 全10区画残り5棟!
上水道負担金33万 受益者負担金350円/㎡ 別途必要
境界ブロック基礎(折半分)別途必要
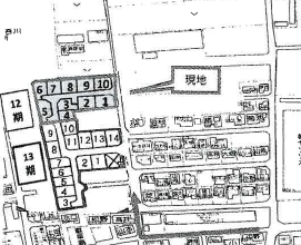
| 区画 | 面積 | 価格(税込) | 坪単価(税込) |
|---|---|---|---|
| 3号地 | 144.89m²(43.83坪) | 701万円 | 16.0万円 |
| 4号地 | 136.66m²(41.34坪) | 676万円 | 16.4万円 |
| 5号地 | 205.17m²(62.06坪) | 1048万円 | 16.9万円 |
| 8号地 | 141.36m²(42.76坪) | 752万円 | 17.6万円 |
| 9号地 | 141.52m²(42.80坪) | 736万円 | 17.2万円 |
区画図

物件概要
-
所在地
愛媛県伊予市下吾川1832付近
-
学校
郡中 小学校・港南 中学校
-
地目
宅地
-
都市計画
市街化区域
-
用途地域
工業地域
-
建ぺい率
60%
-
容積率
200%
-
交通
伊予鉄道郡中線 / 新川駅 徒歩8分 接道 東側 4.6m 私道
-
道路
伊予鉄道郡中線 / 新川駅 徒歩8分
接道 東側 4.6m 私道 -
引渡
相談/更地渡し
-
取引形態
仲介
この物件を問い合わせる
土地に関するお問い合わせは下記フォームよりお願い致します。















