売り土地
松山市 北梅本町 2区画
建築条件なし!お好きな工務店さん、ハウスメーカーさんで理想のお家が建てられます♪
スーパー、コンビニが徒歩圏内、駅・バス停も徒歩10分圏内で住環境の良い立地です。
学校/小野 小学校・小野 中学校
見所ポイント
建築条件なし
1号地、2号地間の境界中心ブロック折半費用必要。(売主にて境界基礎・差し筋は施工します)
西側道路(42条に準ずる道路)・北側道路(指定道路)※道路後退済み(後退部分の舗装は売主にて行います)
水道工事負担金必要。(330、000円)
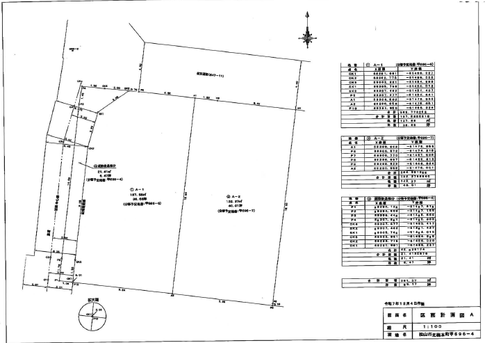
| 区画 | 面積 | 価格(税込) | 坪単価(税込) |
|---|---|---|---|
| 1号地 | 127.88m²(38.68坪) | 1,237万円 | 32.0万円 |
| 2号地 | 132.27m²(40.01坪) | 1,240万円 | 31.0万円 |
区画図

物件概要
-
所在地
愛媛県松山市北梅本町甲696番4 他
-
学校
小野 小学校・小野 中学校
-
地目
宅地
-
都市計画
市街化区域
-
用途地域
第一種住居地域
-
建ぺい率
60%
-
容積率
200%
-
交通
伊予鉄道横河原線 / 梅本駅 徒歩6分 接道 北 4.0m 私道 接面5.4m・西 3.3m 公道 接面13.9m
-
道路
伊予鉄道横河原線 / 梅本駅 徒歩6分
接道 北 4.0m 私道 接面5.4m・西 3.3m 公道 接面13.9m -
引渡
現況渡し
-
取引形態
仲介
この物件を問い合わせる
土地に関するお問い合わせは下記フォームよりお願い致します。















