売り土地
東温市 西岡
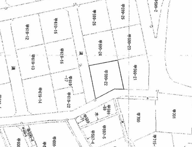
伊予鉄道横河原線 / 牛渕団地前駅 徒歩7分 70坪の広い敷地平屋にも良。
学校/南吉井 小学校・重信 中学校
見所ポイント
建築条件なし
上物あり 更地渡し
土地面積約70.14坪で少し広めの土地です。
伊予鉄道横河原線 / 牛渕団地前駅まで 徒歩7分
| 区画 | 面積 | 価格(税込) | 坪単価(税込) |
|---|---|---|---|
| 1 | 231.90m²(70.14坪) | 1,680万円 | 23.95万円 |
区画図

物件概要
-
所在地
愛媛県東温市西岡599-22
-
学校
南吉井 小学校・重信 中学校
-
地目
宅地
-
都市計画
市街化区域
-
用途地域
第一種中高層住居専用地域
-
建ぺい率
60%
-
容積率
200%
-
交通
伊予鉄道横河原線 / 牛渕団地前駅 徒歩7分 南 5.0m 公道 接面17.0m・東 3.4m 公道 接面15.0m・二方道路
-
道路
伊予鉄道横河原線 / 牛渕団地前駅 徒歩7分
南 5.0m 公道 接面17.0m・東 3.4m 公道 接面15.0m・二方道路 -
引渡
相談/更地渡し
-
取引形態
仲介
この物件を問い合わせる
土地に関するお問い合わせは下記フォームよりお願い致します。











